牙齿矫正适合哪些牙齿问题?他人一口整齐的牙齿是否让你颇然心动,是否爱美的你也让改变一下自己的牙齿外形,为自己的外在形象增添应有的魅力。而牙齿矫正是存在一定的条件的,下面让我们来了解一下牙齿矫正适合哪些牙齿问题。
牙齿矫正适合哪些牙齿问题
中韩合作·唯美口腔的专家对牙齿矫正适应症的常见问题进行了介绍:前牙完全覆盖下前牙:这类患者掀起嘴唇,正面观基本看不到下前牙,有的甚至咬在下前牙的唇侧牙龈上。这类患儿难于切食物,常诉无法“嗑瓜子”,更重要的是影响颞下颌关节,长大后易出现关节弹响、肿痛、张口受限等症状,而且这些疾病的治疗是十分困难的,这类要及早进行牙齿矫正,继续发展恐会不适合做牙齿矫正了。
然后就是大家熟悉的牙齿地包天:正常的上下前牙关系为上牙覆盖下牙,而“地包天”患者为下前牙在前,上前牙在后,在青春发育高峰期时,因下牙阻挡上牙,从而阻挡上颌骨的发育,使面中分发育不足,长大后面部呈“新月型”或“大猩猩脸型”,有外观瞻,承受更多的心理压力,地包天应该说是非常适合做牙齿矫正。
全口牙排列不齐:牙齿象“一幅桂林山水画”,凹凸不平,这是大多数人要求牙齿矫正的原因,牙齿不齐易使食物嵌塞,难于清洁,易牙龈出血、龋病,终使牙齿过早地脱落,这类牙齿比较适合做牙齿矫正。
除此之外,面部不协调,表现为面中下分过短或过长,上颌前突或凹陷,下颌前突或后缩。通过牙齿矫正,配合生长改良,使面部比例协调,面部容貌得到极大的改观,这类虽然适合牙齿矫正,但必要时还需配合正颌外科手术。推荐阅读:韩式隐形正畸
让畸形牙在无形中得到完美矫正——韩式隐形正畸技术
中韩合作·唯美口腔引进的韩式四维隐形正畸技术继承了传统的牙颌畸形矫治的理念,是现代口腔医学、计算机辅助四维诊断、个性化设计及数字化成型技术的完美结合,是正畸领域的新突破。韩式四维隐形正畸由知名专家坐诊,实现全程无痛无创快速疗法,专门治疗各种牙齿排列不整齐,咬合错位等牙齿形态问题,还你一口整齐、坚固耐用的健康原牙。点击在线咨询,了解牙齿矫正的优惠信息!在线预约可享更多优惠!
中韩合作·唯美口腔牙齿矫正专家推荐

李玉如,口腔正畸科。副教授,副主任医师,硕士生导师,口腔医学正畸专业硕士。1991年毕业于中山医科大学口腔系,一直从事口腔正畸的临床、教学和科研工作,临床经验丰富,并注重知识的学习更新,2004年硕士学位毕业。擅长正畸科各类牙颌畸形及疑难病例的矫治,对青少年反牙合、开牙合、功能性矫治、阻生牙的导萌牵引及成年人牙颌畸形、牙周病的正畸治疗有良好的疗效。
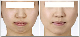
中韩合作·唯美口腔牙齿矫正前后对比图

如果您还有想要了解的情况,可以点击我们的在线咨询,中韩合作·唯美口腔的在线专家会给您专业,详细的解答,或是拨打我们的24小时康复热线,与专家一对一详解。